Скажите, пожалуйста, что Вы с Лиги Квартир
Описание
Продается большая, светлая комната в кирпичном доме.
В престижном Центральном районе.
Основные плюсы данного объекта:
- В комнате сделан хороший ремонт.
- Перспективна для инвестиций, сдается за 18000р, всегда есть арендаторы
- Малонаселенная квартира.всего 4 комнаты
- В квартире чисто..
- Во дворе парковка на ключе.
- В шаговой доступности 5 станций метро ( Сенная площадь, Садовая, Спасская, Гостинный двор, Невский проспект)
- Рядом вся инфраструктура.
МЕБЕЛЬ И ТЕХНИКА ОСТАЕТСЯ В ПОДАРОК
КОМНАТА ГОТОВА К ПРОДАЖЕ, НОТАРИАЛЬНЫЕ ОТКАЗЫ, ОДИН СОБСТВЕННИК!
Комната в продажу
- Комнат в сделке: 1
- Комнат в квартире: 4
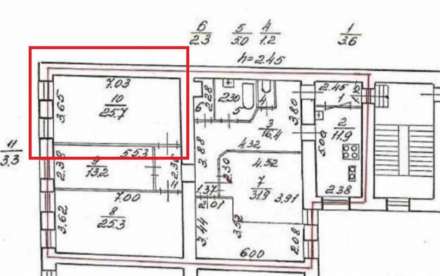
- Этаж: 4 из 7
- Санузел: Раздельный
Цена и условия сделки
- Цена: 3 000 000 ₽
- Цена за м²: 25 000 ₽
- Аккаунт: Агент
Площадь
- Общая площадь: 120 м²
- Площадь комнаты: 25.7 м²
- Площадь кухни: 11.9 м²
- Дата публикации: 07 апр 2020
- Дата обновления: 14 сен 2021
- id объявления: 27757
Информация о доме
- Адрес: Апраксин пер, 5
- Тип здания: Кирпичный
- Количество этажей: 7
Дополнительная информация





